Annonce déposée par morgane le 10/10/23



Détail de l'annonce
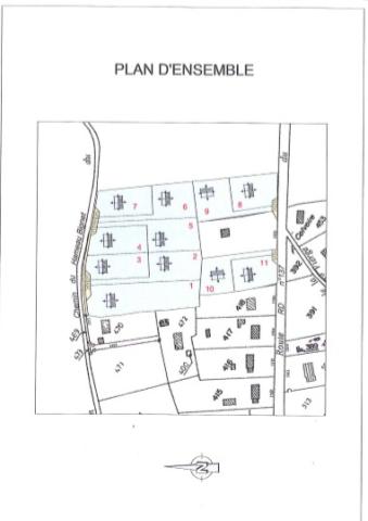
Petit lotissement de 11 parcelles de 1336 m² à 3231 m², viabilisés en EAU et EDF, assainissement individuel à prévoir.
Les permis de construire seront soumis à l'avis des bâtiments de France.
Terrain à partir de 35 000 euros
Pour plus de renseignement contactez moi ou par mail


: morgane
Prix : 35 000 €
Ville : 27450 Saint Gregoire du vièvre
Surface : 1800 m²
Pièces : 1
Autres annonces dans la catégorie "Ventes"