Annonce déposée par Morgane le 14/02/19



Détail de l'annonce
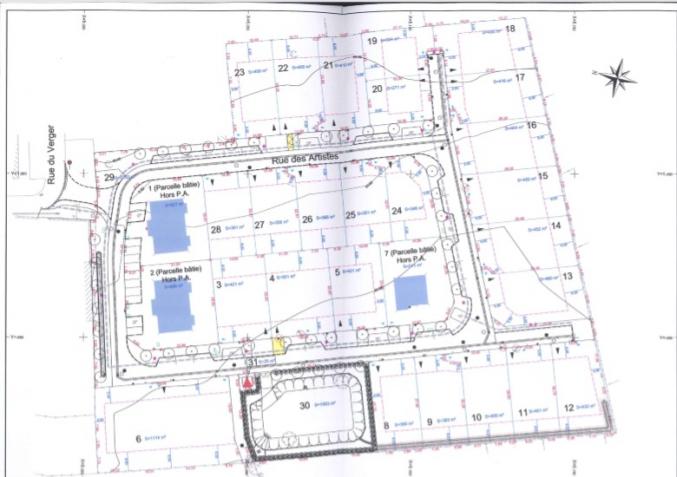
En plein centre de la commune de Saint Sébastien de Morsent,
je vous propose ses 9 dernières parcelles de terrains à bâtir pour un total de 30 parcelles au départ.
Les superficies vont de 346 m² à 435 m² à partir de 53 500 euros.
Elles sont entièrement viabilisées en EAU, Electricité, Téléphone, Tout à l'égout et gaz de ville.
Pour plus de renseignement contactez moi


: Morgane
Prix : 53 500 €
Ville : 27180 SAINT SEBASTIEN DE MORSENT
Surface : 346 m²
Autres annonces dans la catégorie "Terrains"